鼓楼滨江、麒麟上新!刚刚,南京挂出2幅低密宅地

12月25日,南京土地市场网发布2024年宁出第23号出让公告,挂牌推出2幅低密宅地,分别位于城东麒麟和鼓楼滨江,容积率分别为1.05、1.25,总用地面积约3.28公顷,起拍总价4.67亿元。2幅地块将于2025年1月23日上午9:30开始网上限时竞价,为明年全市首批成交的地块。

其中:鼓楼滨江地块十分迷你,可建住宅面积不足5000平方米,为鼓楼区通过挖潜新增的1幅优质低密宅地,紧邻有着很高市场热度的热销项目桃园府。有业内人士分析指出,桃园府的热销和全盘售罄,无疑为该地块打了一个很好的市场样板,加之体量又小,预计市场关注度会比较高。


NO.2024G98地块


地块名称:江宁区麒麟科创园苏盛路以南、苏兴路以东地块

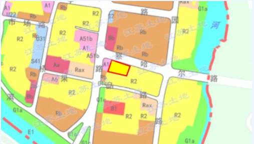
地块四至:东至苏嘉路,南至前庄路,西至苏兴路,北至苏盛路


规划用地性质:R2二类居住用地


出让面积:29079㎡


容积率:1.0<Far≤1.05


建筑高度:≤24米


挂牌起始价:35000万元


起拍楼面价:11463元/㎡


地块所在的麒麟科创园,紧扣打造“国家区域科技创新中心核心承载区、国家战略科技力量承载区”,建设“创新策源活力之城、科技产业实力之城、生态宜居魅力之城”的“两区三城”发展定位,不断做强做优新一代信息技术、新能源、新经济业态、智能制造等主导产业,着力培育综合交通、生物医药、新材料等一批未来产业。

地块靠近麒麟人工智能产业园、麒麟国际企业研发园,为近年来麒麟科创园首次在绕城高速以东片区推出住宅用地,同时也是整个麒麟科创园推出的容积率最低的低密宅地。目前地块西侧的中央公园片区有龙湖天街在建,仁恒云谷世纪、高科紫麟景院2个住宅项目主力在售;片区内今年9月底成交了1幅容积率2.2的G39地块,限高60米,成交楼面地价14034元/㎡。与G39地块相比,此次挂牌的G98地块,容积率低至1.05,限高仅24米,低密度、高品质、观山景的差异化竞争优势十分明显。

地块所在片区未来的公共配套也将十分成熟:地块西侧规划有3幅商办用地,北侧规划有医疗用地;根据12月2日麒麟科创园发布的区域规划调整服务招标公告,初步选址的麒麟南师附中规划初高中就在地块北侧的南湾营街以南,该学校办学规模包含初中和高中。此外,去年3月举行的南京师范大学附属中学麒麟科技城教育集团成立签约活动官宣,多方将共同组建南师附中麒麟科技城教育集团,在麒麟科技城核心区建设1所高中、1所初中、2所小学。

NO.2024G96地块





地块名称:鼓楼区热河南路街道察哈尔路以南、热河南路以东地块    

地块四至:东至现状,南至现状,西至热河南路,北至察哈尔路


规划用地性质:R2二类居住用地


出让面积:3726.68㎡


容积率:1.0<Far≤1.25


建筑高度:≤60米


挂牌起始价:11700万元


起拍楼面价:25116元/㎡


G96地块所在的鼓楼滨江片区,今年10月批后公布了片区的控制性详细规划。该片区定位为以航运服务为特色的高端商务区、以滨江人文为主题的文化游憩区、以都市生活为导向的品质生活区,将规划形成“一带三轴、一核六片”的总体布局结构。地块位于公共服务轴上、综合生活区内,毗邻小桃园、秦淮河,自然资源禀赋十分优越,人居氛围十分浓郁。


地块东侧紧邻今年炙手可热的热销盘桃园金茂府,自6月29日首开至今3次开盘,不足半年226套房源全部售罄,成交均价近5.6万元/㎡,为今年全市去化率最高的项目之一。该项目的热销和上月底绿城小幅溢价竞得G51地块首进鼓楼滨江,都使得鼓楼滨江再次成为了市场焦点。


桃园金茂府销售情况(图源:南京网上房地产)


与桃园金茂府容积率2.2不同,G96地块容积率低至1.25,可打造居住舒适度更高的低密度第四代住宅,提供片区内更高品质的改善选择。同时,G96地块的起拍楼面地价为25116元/㎡,较桃园金茂府成交价低4832元/㎡。有业内人士分析指出,超低的容积率、略低的单位地价、更高的产品品质、超低的出让总价,G96地块的投资价值十分显著,“首开、金茂应该会特别钟情这个地块,非常适合打造升级版的桃园金茂府二期”。